153 High Point

Kempner, TX 76539

153 High Point

Kempner, TX 76539

$98,732

10
  • River Hills Ranch
  • MLS: #528435
2 years, 4 months, 18 days, 12 hours, 36 minutes on market
StatusActive
Year Built---
CountyOther
Flooring
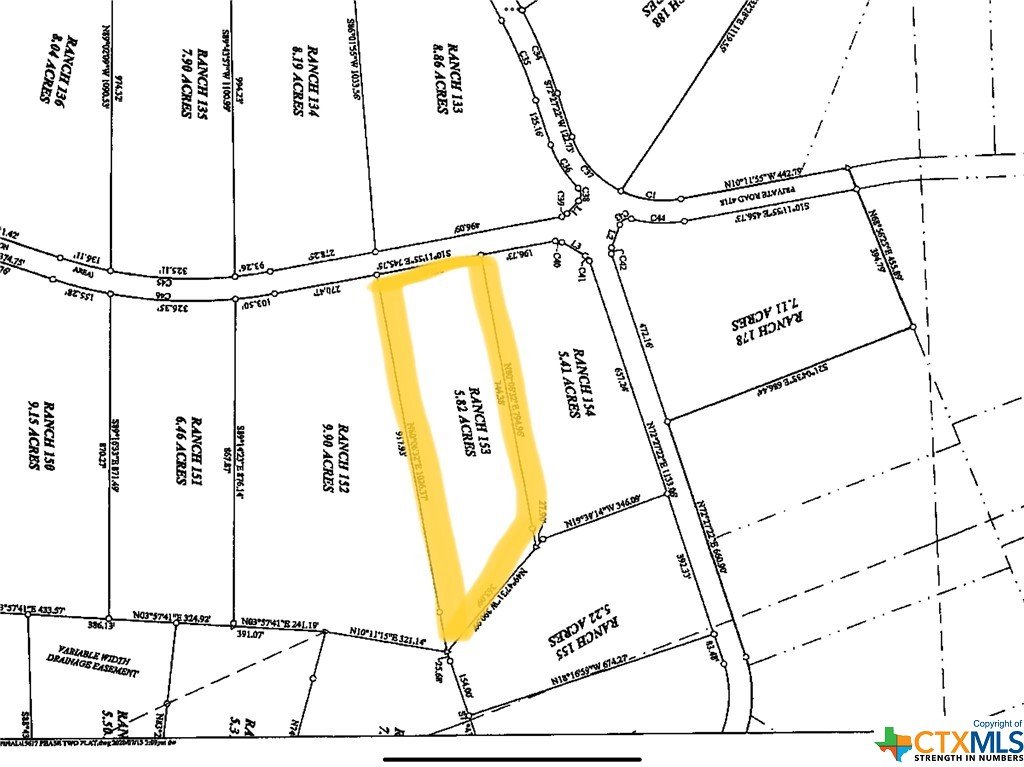
Lot Size5.82
Parking
Total Stories
Cooling
School District Lampasas ISD
Schools Lampasas High School, Lampasas Middle School, Hanna Springs
Fireplace
Property Type Acreage

Property Details

Seller Financing Available!!! Tiny Homes and other creative homes approved! ONE HOUR northwest of Austin, Sprawling across the middle of 1000+ acre high fenced wildlife preservation community this lot is surrounded by breathtaking views of rolling hills, majestic trees, and peaceful meadows. The tranquility and privacy provided by this location make it an ideal escape from the hustle and bustle of city life. Imagine waking up each day to the sight of stunning sunrises and ending each evening with the beauty of colorful sunsets. With ample space and endless possibilities, this lot grants you the freedom to design and construct a home perfectly tailored to your unique vision. Whether you're dreaming of a sprawling ranch-style estate, a charming farmhouse, or a contemporary masterpiece, let your imagination run wild as you bring your architectural dreams to life. Enjoy outdoor recreational activities at nearby parks and lakes, or take a short drive to indulge in the diverse dining and entertainment options of surrounding areas. River Hill Ranch is a sought-after community that exemplifies peaceful country living while providing a strong sense of camaraderie among neighbors. Residents have the opportunity to enjoy a variety of amenities, including equestrian trails, a fishing pond, and abundant wildlife areas with over 300 head of wild exotics deer, blackbuck antelope, big horn sheep, axis deer, and many other breed sightings that create a truly serene environment. Don't miss the chance to build your own paradise on lot 153 River Hill Ranch. Embrace the tranquility, natural beauty, and endless possibilities this property has to offer. Schedule a private tour today and embark on a journey towards creating your perfect haven in Kempner, Texas.




Courtesy of 2tx Realty

This real estate information comes in part from the Internet Data Exchange/Broker Reciprocity Program . Information is deemed reliable but is not guaranteed.
© 2017 San Antonio Board of Realtors. All rights reserved.


,,