13857 Us Highway 87 S

Adkins, TX 78101

13857 Us Highway 87 S

Adkins, TX 78101

$1,200,000

10
3 years, 3 months, 5 days, 13 hours, 36 minutes on market
StatusActive
Year Built---
CountyBexar
Flooring
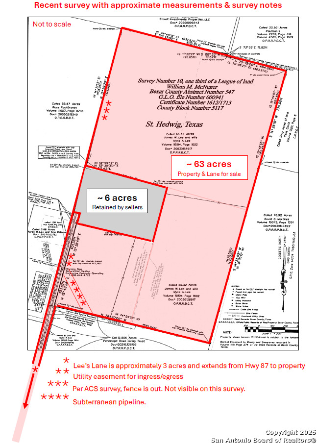
Lot Size63
Parking
Total Stories
Cooling
School District East Central I.S.D
Schools East Central, East Central, East Central
Fireplace
Property Type Rural

Property Details

*** VERIFY ALL MEASUREMENTS, TAXES, RESTRICTIONS, SERVICE PROVIDERS *** Come see this is amazing property with beautiful views and sunsets. The property is ~63 acres per recent survey. Owners procured a recent appraisal at value. This property is fully fenced with cross fencing and is excellent for grazing, growing coastal, hunting or building your dream home. The acreage also includes the lane that connects the property to Hwy 87. There is a beautiful, century oak tree on the south acreage flanked by mesquites. Approximately 50 acres is currently used for coastal pasture. Also, a seasonal creek on the southeast area of the property. Well, septic, electric available, but not currently established on property. 50 percent of mineral rights owned by seller will convey to buyer.




Courtesy of Coldwell Banker D'ann Harper

This real estate information comes in part from the Internet Data Exchange/Broker Reciprocity Program . Information is deemed reliable but is not guaranteed.
© 2017 San Antonio Board of Realtors. All rights reserved.


,,