103 Stahl

Boerne, TX 78006

103 Stahl

Boerne, TX 78006

$720,000

10
2 months, 28 days, 15 hours, 53 minutes on market
StatusPrice Changed
Year Built1997
CountyKendall
Flooring
Lot Size0.223
Parking
Total Stories
CoolingCentral, Window
School District Boerne
Schools
Fireplace
Property Type Other - See Remarks

Property Details

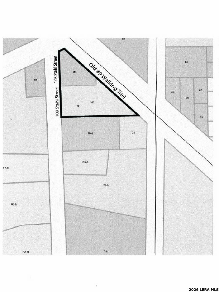
Prime Downtown Boerne building site of just under 3/4 acre near the post office just off Blanco and backing up to the Old #9 Walking Trail. City utilities on site. Triangle shaped parcel with two existing homes and a workshop/storage building addresssed as 103 and 109 Stahl St. 212 +/- combined feet of frontage on Stahl. 327 +/- feet back up to the Old #9 Walking Trail. The Southern side of the property measures +/- 259 feet and is adjacent to a .487 acre parcel also offered for sale by another brokerage. A rare find in the heart of Boerne that could be ideal for commercial/office condos or low-density multifamily such as a duplex or townhomes. 103 Stahl is currently zoned C3 and 109 is zoned C2. Marketing packet available upon request.




Courtesy of Re/max North-san Antonio

This real estate information comes in part from the Internet Data Exchange/Broker Reciprocity Program . Information is deemed reliable but is not guaranteed.
© 2017 San Antonio Board of Realtors. All rights reserved.


,,