0 Hwy 95 And Cr 325

Granger, TX 76530

0 Hwy 95 And Cr 325

Granger, TX 76530

$8,899,999

10
8 months, 23 days, 12 hours, 7 minutes on market
StatusActive
Year Built---
CountyWilliamson
Flooring
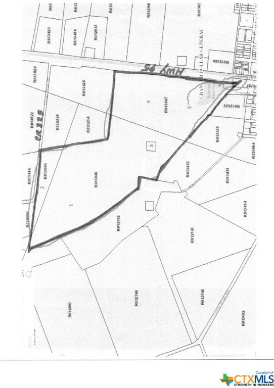
Lot Size187.13
ParkingNone
Total Stories
CoolingNone
School District Granger ISD
Schools
Fireplace
Property Type Commercial

Property Details

GREAT MANUFACTURING OR WAREHOUSE BUILDINGS AREA LOCATED IN AN OPPORTUNITY ZONE - INVESTORS BRING YOUR 1031 EXCHANGE TO INVEST IN THE GROWING FUTURE IN THIS AREA. Exciting Opportunity Awaits! Explore the potential of this dynamic property nestled just north of Austin in one of Texas' most rapidly expanding counties. Offering over half a mile of frontage on State Highway 95 and more than 1,000 feet along County Road 325, this site is primed for commercial, industrial, or mixed-use development. Strategically positioned within the ambit of growth, the property aligns with the long-term vision outlined in the Williamson County Transportation Plan, hinting at future value enhancements. Notably, Granger, the vibrant city nearby, recently celebrated the groundbreaking of a new High School slated for completion in Fall 2024. Situated a mere 12 miles north of the forthcoming $17 billion Samsung semiconductor facility in Taylor, TX, this locale brims with promise. With part of the property straddling Granger's city limits and the rest within its ETJ, the possibilities are vast. With potential access to water and utilities, the land's rich clay soil presently supports cultivation and grazing activities, while benefiting from a Ag exemption for tax appraisal purposes. A gentle creek meanders along the southern boundary, enhancing the landscape and offering opportunities for thoughtful development. Consider the myriad of potential applications, from purely commercial or industrial ventures to a blend of residential and commercial along CR 325. Explore possibilities like storage facilities, or RV accommodations, with Granger Lake a convenient five-mile journey away. While a train track separates the property from State Highway 95, it adds character and accessibility to this exceptional investment opportunity. Don't miss your chance to shape the future of this dynamic location!




Courtesy of Tierra Grande Realty, Llc

This real estate information comes in part from the Internet Data Exchange/Broker Reciprocity Program . Information is deemed reliable but is not guaranteed.
© 2017 San Antonio Board of Realtors. All rights reserved.


,,